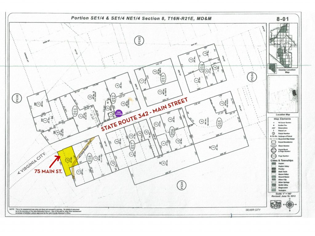
75 Main Street • Silver City, NV
Vacant Land with lots of Opportunity

- Temporarily Off Market
- 0.21 Acre Lot
- Premliminary Drawings for New Home
- Main Street Commercial & Residential Possibility
- 3.7 Miles South of Virginia City
- IVR MLS#: 1012452



























Historical Building Site on Main Street in Silver City, NV. This is part of the Comstock Historic District. Rich History of a Mining Community of the Donovan Mill and just a short distance from the first gold strike and Devil’s Gate. Zoned C2 it is the only commercial building site currently available in Silver City. Possibly a combination of commercial and residential. Originally there was a two story home on the site, built at street level, with some remaining rock foundation.
Today the town has active arts and historic preservation groups, an outdoor performance stage, a community garden, a volunteer library, a community center and park, plus a resident artist program and a summer arts and science program.
Listing Information
- Vacant Land
- Dirt Access Road
- Rough and Finished Grade
- Lot #1 & Adj. Lot Block 4
Additional Features!
- Water and Electricity on Property
- Dayton School District
- County: Lyon County
Local Schools
- Dayton Elementary School – 4.3 Miles
- Dayton Intermediate School – 4.5 Miles
- Dayton High School -4.7 Miles
View Incline MLS #1012452
View in Reno MLS #220006278
Text 775 742 9255 for showings.
